Контакти

ЦЕНТРАЛЕН ОФИС:

Ул. "Есперанто" № 6А
София, 1225

тел.: +359 2 839-06-68
моб.тел.: +359 885 763-088
моб.тел.: +359 898 612-968

e-mail: [email protected]

 

 

 

 

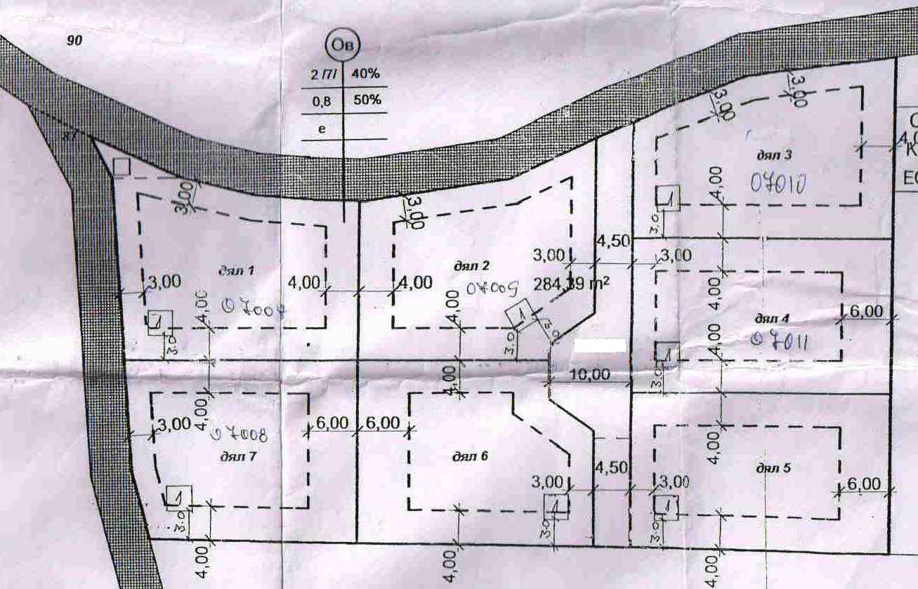
Парцел в.з. Ярема, София

Номер на имота: 262
Тип имот: Парцели с проекти за застрояване
Град / Област: вилна зона Ярема, гр. София
Метонахождение: Градски недвижими имоти
Терен (парцел): 600.00m²
Цена: 30 000€
Описание:

Предлагаме на вашето внимание седем Урегулирани поземлени имоти (УПИ) във вилна зона Ярема.

Пет парцела, всеки от парцелите е по 600 кв.м.

Намират се на асфалтирана улица до до финландските къщи и гора.

Имотите имат ток, вода.

Подробен Устройствен план (ПУП)

Брокер:
Ирина Петкова
00359 899 102 336
| More
You don't have Javascript enabled. Hover for more information! But don't worry: you can still use this web site! You have two options:
  • enable Javascript in your browser and then refresh this page, for a much enhanced experience.
  • click the Update button every time you want to update the selection.

Вход потребители